
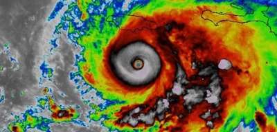
Hurricane Melissa achieves near-perfect symmetry near Jamaica
"Breaking: Hurricane Melissa achieves near-perfect symmetry, just 115 miles from Jamaica. Stay informed on potential weather impacts and regional safety measures."
Stay informed with the most recent liberal news, political commentary, and breaking stories.

"Breaking: Hurricane Melissa achieves near-perfect symmetry, just 115 miles from Jamaica. Stay informed on potential weather impacts and regional safety measures."

"Brussels braces for conflict as Europe confronts global threats. Discover how leaders like Trump, Putin, and Xi challenge EU values in this critical analysis."
"Breaking: US President Donald Trump arrives in Tokyo on October 27, 2025, for critical talks with Prime Minister Takaichi, including a visit to Emperor Naruhito and U.S. Naval Base Yokosuka."

Germany reveals a €377B plan to modernize the Bundeswehr with 320 projects, including 687 Puma vehicles and a €9.5B satellite network. Discover the key details now!
"Trump criticizes Russia's nuclear missile test, urging Putin to end the war that should have concluded years ago. Watch the latest video for insights on U.S. defense."

"US Treasury Secretary Scott Bessent criticizes Putin's envoy Kirill Dmitriev as a 'propagandist,' highlighting Russia's stagnant economy with inflation over 20%. Discover the implications of these remarks amid ongoing US-Russia tensions."

"Breaking: A Russian Il-76TD cargo plane lands in Caracas, Venezuela, amid rising geopolitical tensions. Discover the implications and details of this significant arrival."

"Egypt's Intelligence Chief visits Lebanon with a critical security warning amid rising tensions. Discover the implications for regional stability and urgent actions needed."

"Breaking: President Milei's La Libertad Avanza secures 40.8% in Argentina's midterms, gaining 65 seats and reshaping the legislative landscape. Discover the implications."

"Breaking: SNAP benefits halted on Nov. 1 due to a government funding impasse. Learn how this impacts vulnerable families and the urgent call for action."

FEMA validates $33.7 million in damage claims for Allegany and Garrett counties. Discover the ongoing disaster relief debate and local residents' concerns today.

"Breaking: Armed Services YMCA reports a staggering 30%-75% increase in food bank demand as military families face challenges during the government shutdown. Learn more."