
FAA issues warning for flights near Venezuela due to security concerns
"Breaking: FAA warns pilots of heightened security risks for flights near Venezuela due to increased military activity and GPS interference. Stay informed on safety measures."
Stay informed with the most recent liberal news, political commentary, and breaking stories.

"Breaking: FAA warns pilots of heightened security risks for flights near Venezuela due to increased military activity and GPS interference. Stay informed on safety measures."
"Latest: Trump shares his newfound confidence in Mamdani’s abilities after crucial discussions on November 21, 2025. Discover what this means for future leadership."
"Latest: Trump meets NYC Mayor-elect Zohran Mamdani on November 21, 2025, expressing confidence in his leadership. Discover insights on their discussion and future implications."
"Latest: Mamdani vows to combat antisemitism and protect Jewish New Yorkers. Watch his bold commitment to safeguarding all residents across the five boroughs."
"Breaking: NYC Mayor-elect Zohran Mamdani pledges to combat antisemitism across the five boroughs. Discover his vision for protecting Jewish New Yorkers and fostering unity."

"Trump emphasizes that Zelensky must approve the U.S. plan for Ukraine, stating, 'If he doesn’t like it, he can keep fighting.' Discover the implications of this critical stance."

"FBI Director Kash Patel concludes Trump assassination attempt investigation, confirming Thomas Crooks acted alone. Discover the implications for the political landscape now."

"Breaking: German Chancellor Friedrich Merz reveals he discussed a Ukraine peace plan with Trump on Nov 21, 2025. Discover the next steps and implications for Europe."

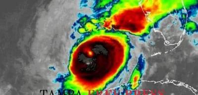
"Breaking: For the first time in a decade, the U.S. hurricane season wrapped up without landfall. Explore the factors behind this unprecedented event and its climate implications."

"Breaking: The U.S. Bureau of Labor Statistics cancels the October inflation report due to government shutdown data issues. Discover the implications for the economy now."

Ghislaine Maxwell refuses to cooperate with the U.S. Congressional investigation into Jeffrey Epstein, raising critical questions about the inquiry's future and implications.
"Breaking: Trump predicts Ukraine will lose territory soon in a candid November 21, 2025, discussion. Watch the video for insights on the US peace proposal and implications for the Donbas region."